都知道春天是春回大地的时节,一样也是裂头蚴逐渐大批量繁育的时节,因此在这个时候一定要留意狗狗们的驱虫问题。那麼猫奴们如何辨别狗狗是不是必须驱虫呢?下边就跟小编一起来瞧瞧吧!

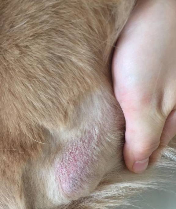
宠主可以观查狗狗的人体是否有结疤的皮或是脓疱,乃至大面积掉毛,如果有就表明狗狗的身上有满虫,应当赶快给狗狗身体之外驱虫。平常还要留意狗狗的饮食搭配,不必给狗狗摄取过多的盐份,宠主最好是给狗狗喂养低盐成份的天然狗粮,缓解狗狗的掉毛状况。

假如宠主发觉狗狗常常咳个不断,或在运作时发生喘气、呼吸困难等情况时,那宠主就需要注意了,狗狗极有可能感染了心丝虫或弓型虫。此刻宠主就需要给狗狗开展体内驱虫,平常还要留意不必给狗狗吃生吃。

总结:你们家狗狗有以上的状况吗?