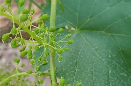
有关葡萄的种植知识,怎么让葡萄不落花落果,常用的保果方法有哪些,为葡萄补充养分,及时追施基肥,葡萄在花果期时控制氮肥的用量,雨季时及时排出积水,都能让葡萄不落花落果。
怎么让葡萄不落花落果1、补充营养
为了让葡萄不落花落果,应为葡萄补充充足的养分,在葡萄采收后及时追施基肥,补充树体的养分,肥料以人粪尿、畜禽粪、堆肥和厩肥为主,以免养分不足导致来年葡萄易落花落果。

2、控制氮肥
葡萄在花果期时,如果氮肥施加过量,新梢会旺盛生长,葡萄就容易出现落花落果的现象。在葡萄开花之前,尽量不不施加氮肥,可以为其施加有机肥,防止落花落果。
3、种植环境
葡萄在开花结果期时,当生长环境不适宜时也会出现落花落果的现象,在种植葡萄时要加强养护管理,雨季及时排水,干旱天气及时灌水,并且要有适宜的光温,防止花果脱落。
4、喷施硼肥
硼元素对葡萄开花结果有重要作用,为了防止葡萄落花落果,应在花蕾期、初花期和盛花期各喷施一次0.3%硼酸溶液和0.3%磷酸二氢钾溶液,可以让葡萄的果实能生长的更好。